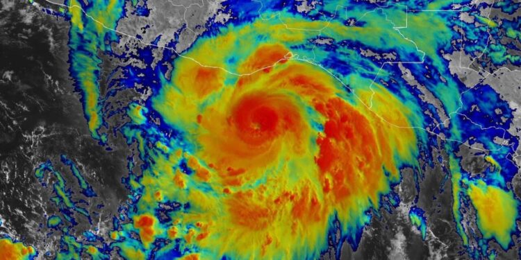
El Huracán Erick alcanzó la categoría 4 en las primeras horas del 19 de junio y aunque perdió fuerza rápidamente en su paso por tierra, la increíble fuerza en sus vientos sostenidos llegó a los 230 kilómetros por hora, además de que algunas de sus rachas llegaron a los 280, pero ¿Cuál ciclón tropical sigue en la lista de la temporada 2025?
Los huracanes se catalogan con base en la escala Saffi-Simpson de la siguiente manera:
- Huracán categoría 1, vientos de 119-153 km/h
- Huracán categoría 2, vientos de 154-177 km/h
- Huracán categoría 3 (mayor), vientos de 178-208 km/h
- Huracán categoría 4 (mayor), vientos de 209-251 km/h
- Huracán categoría 5 (mayor), vientos de 252 km/h o más

En estos momentos, el Servicio Meteorológico Nacional (SMN) indica que se han formado ya en el Océano Pacífico:
- Alvin
- Bárbara
- Cosme
- Dalila
- Erick
En ese mismo litoral siguen en la lista
- Flossie
- Gil
- Henriette
- Ivo
- Juliette
- Kiko
- Lorena
- Mario
- Narda
- Octave
- Priscilla
- Raymond
- Sonia
- Tico
- Velma
- Wallis
- Tina
- York
- Zelda
Huracanes en el Atlántico 2025
Por otra parte, en el Atlántico la temporada de huracanes empezó apenas el 1 de junio pasado y aún no hay avisos de la Comisión Nacional del Agua (Conagua), ni de la Administración Nacional Oceánica y Atmosférica (National Oceanic and Atmospheric Administration, NOAA en inglés) sobre la formación de ciclones tropicales en ese litoral.
Los nombres que llevarán los huracanes en la temporada 2025 en el Atlántico son:
- Andrea
- Barry
- Chantal
- Dexter
- Erin
- Fernand
- Gabrielle
- Humberto
- Imelda
- Jerry
- Karen
- Lorenzo
- Melissa
- Néstor
- Olga
- Pablo
- Rebekah
- Sebastien
- Tanya
- Van
- Wendy




