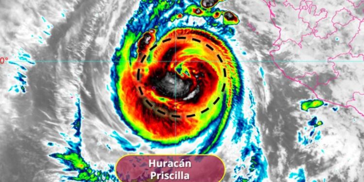
El Servicio Meteorológico Nacional (SMN) informó que “Priscilla” se intensificó a huracán categoría 2 en la escala Saffir-Simpson la madrugada de este martes 7 de octubre de 2025.
Por medio de un comunicado, el SMN precisó que a las 03:00 h el centro del huracán “Priscilla” se localizó a 410 kilómetros (km) al oeste-suroeste de Cabo Corrientes, Jalisco, y a 390 km al sur de Cabo San Lucas, Baja California Sur.
El fenómeno registra vientos máximos sostenidos de 155 kilómetros por hora (km/h), rachas de 195 km/h y se desplaza hacia el noroeste a 17 km/h.
“Priscilla” generará lluvias puntuales intensas (75 a 150 mm) en Baja California Sur (sur), Sinaloa (centro y sur) y Nayarit (norte y centro), además de lluvias puntuales fuertes (25 a 50 mm) en Jalisco, Colima y Michoacán“, puntualizó.
Las precipitaciones podrían ser con descargas eléctricas y granizo, además de que podrían propiciar encharcamientos, deslaves e inundaciones en zonas bajas de los estados mencionados.
Se prevé viento de 60 a 70 km/h con rachas de 80 a 100 km/h y oleaje de cinco a seis metros de altura en costa de Baja California Sur (sur), viento de 20 a 30 km/h con rachas de 40 a 60 km/h en Jalisco, así como viento de 10 a 25 km/h con rachas de 30 a 50 km/h en costas de Sinaloa, Nayarit, Colima y Michoacán.
También se espera oleaje de tres a cuatro metros de altura en costas de Nayarit y Jalisco, y de dos a tres metros de altura en costas de Sinaloa, Colima y Michoacán.
Por lo anterior, el SMN estableció una zona de vigilancia por efectos de tormenta tropical desde Cabo San Lucas hasta Cabo San Lázaro.
Hasta ahora se han formado 16 tormentas en el Pacífico mexicano: “Alvin”, “Bárbara”, “Cosme”, “Dalila”, “Erick”, “Flossie”, “Gil”, “Henriette”, “Ivo”, “Juliette”, “Kiko”, “Lorena”, “Mario, “Narda”, “Octave” y “Priscilla”.
México prevé la formación de hasta 20 ciclones con nombre en el Pacífico mexicano durante la actual temporada, de los que entre cuatro y seis podrían alcanzar las categorías 3, 4 o incluso 5.
 
  
  
 



